Astridlaan 234, Pelt
REF: 6502139
Astridlaan 234, 3910 Neerpelt
€ 160.000
- 1.880 m²
KNAPPE BOUWGROND VOOR RUIME OPEN BEBOUWING VAN MAAR LIEFST 18A80CA TE PELT (OVERPELT)
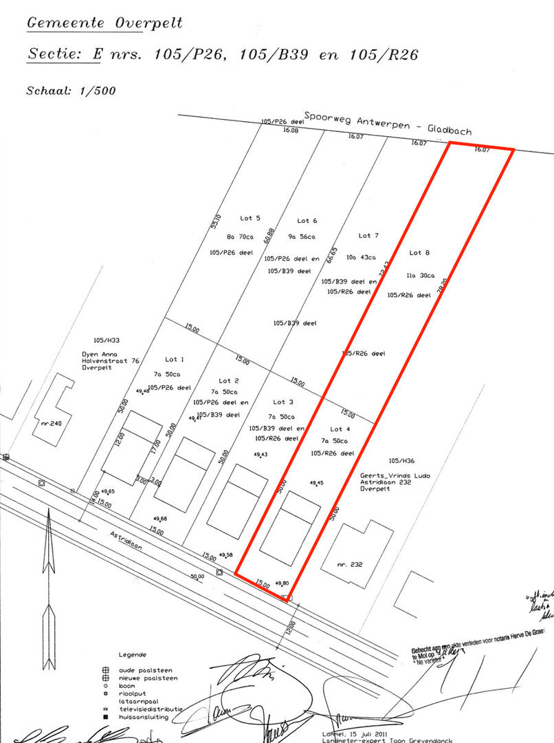
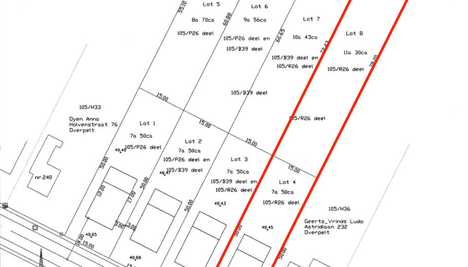
Deze bouwgrond, gekend als lot 4 van een goedgekeurde verkaveling met achterliggende grond gekend als lot 8 zijn samen 18a80ca groot.
Van hieruit bereik je met de wagen van het centrum van Pelt (Overpelt), de Noord Zuid verbinding (N74) en de verbindingsweg naar Lommel binnen enkele minuten.
Deze bouwgrond is geschikt voor het bouwen van een open bebouwing. De perceelbreedte aan straatzijde bedraagt 15 meter en heeft een gemiddelde diepte van 125 meter (122,43 meter diep aan de ene zijde, 128,20 meter diep aan de andere zijde).
De gezinswoning die gebouwd zal worden, mag op 3 meter van de zijdelingse perceelsgrenzen ingepland worden en mag een maximum bouwdiepte op het gelijkvloers van 17 meter en van 12 meter op verdieping hebben. De kroonlijsthoogte kan maximaal 7 en de nokhoogte maximum 11 meter bedragen. De dakvorm is vrij te kiezen. Een vrijstaand bijgebouwd is eveneens toegelaten onder bepaalde voorwaarden.
Functies, complementair aan het wonen zoals kantoorfunctie, vrij beroep, handel, horeca, dienstverlening en ambacht zijn toegelaten mits geringere oppervlakte dan de woonfunctie (die hoofdfunctie heeft) tot max. 100 m2.
Alle relevante documentatie zoals wettelijk verplichte documenten, verkavelingsvoorschriften, -vergunning en plan kan u raadplegen op onze website, onder “downloads” bij de betreffende advertentie.
Interesse of vragen? Contacteer ons op 011 96 51 76 of mail naar info@momentumvastgoed.be.
Deze bouwgrond, gekend als lot 4 van een goedgekeurde verkaveling met achterliggende grond gekend als lot 8 zijn samen 18a80ca groot.
Van hieruit bereik je met de wagen van het centrum van Pelt (Overpelt), de Noord Zuid verbinding (N74) en de verbindingsweg naar Lommel binnen enkele minuten.
Deze bouwgrond is geschikt voor het bouwen van een open bebouwing. De perceelbreedte aan straatzijde bedraagt 15 meter en heeft een gemiddelde diepte van 125 meter (122,43 meter diep aan de ene zijde, 128,20 meter diep aan de andere zijde).
De gezinswoning die gebouwd zal worden, mag op 3 meter van de zijdelingse perceelsgrenzen ingepland worden en mag een maximum bouwdiepte op het gelijkvloers van 17 meter en van 12 meter op verdieping hebben. De kroonlijsthoogte kan maximaal 7 en de nokhoogte maximum 11 meter bedragen. De dakvorm is vrij te kiezen. Een vrijstaand bijgebouwd is eveneens toegelaten onder bepaalde voorwaarden.
Functies, complementair aan het wonen zoals kantoorfunctie, vrij beroep, handel, horeca, dienstverlening en ambacht zijn toegelaten mits geringere oppervlakte dan de woonfunctie (die hoofdfunctie heeft) tot max. 100 m2.
Alle relevante documentatie zoals wettelijk verplichte documenten, verkavelingsvoorschriften, -vergunning en plan kan u raadplegen op onze website, onder “downloads” bij de betreffende advertentie.
Interesse of vragen? Contacteer ons op 011 96 51 76 of mail naar info@momentumvastgoed.be.
Details van het pand
Financieel
- Prijs
- € 160.000
- Opbrengsteigendom
- nee
Ligging
- Ligging
- Stadsrand
Terrein
- Perceel opp.
- 1.880,00 m²
- Tuin
- nee
Energie
Indeling
- Terras
- nee
Stedenbouwkundige informatie
- Bestemming
- Woongebied
- Bouwvergunning
- nee
- Verkavelingsvergunning
- ja
- Voorkooprecht
- nee
- Dagvaarding
- Geen rechterlijke herstelmaatregel of bestuurlijke maatregel opgelegd
- Vonnissen
- nee
- P-score
- A
- Watergevoelig openruimtegebied
- Nee
Ruimtelijke ordening
- Bodemattest
- ja