Leenhaagstraat

REF: 7147949

Leenhaagstraat 23B, 3440 Zoutleeuw

€ 119.500

  • 901 m²

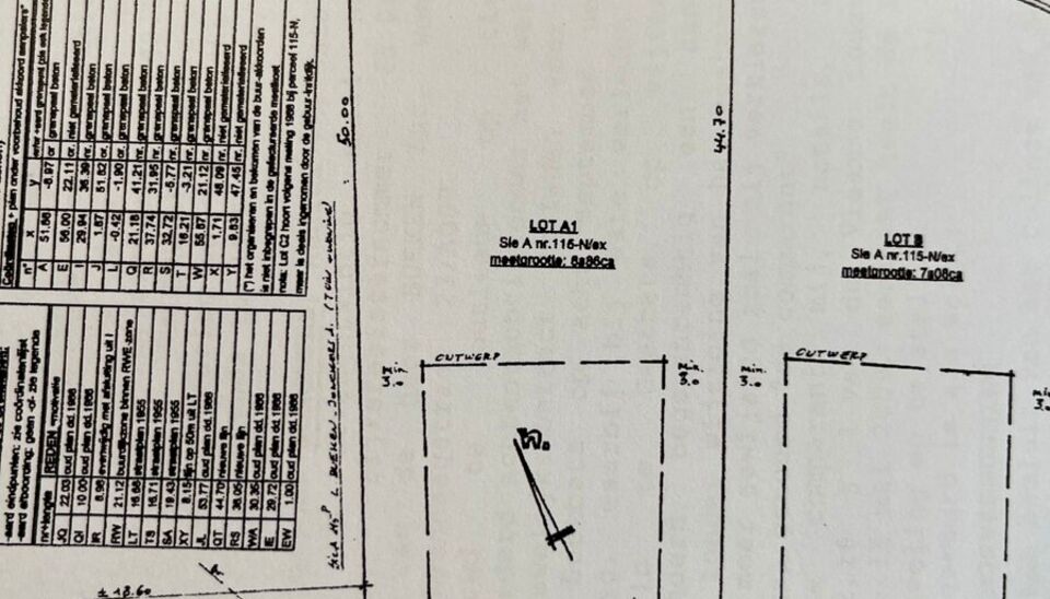
RUIM BOUWPERCEEL VAN 9A01CA VOOR OPEN BEBOUWING TE BUDINGEN

In de rustige en residentiële Leenhaagstraat te Budingen bieden wij u dit ruim bouwperceel van 901 m² aan. Het perceel is bestemd voor het oprichten van een open bebouwing en vormt de perfecte basis om uw droomwoning te realiseren.

Met een straatbreedte van 16,68 meter en een diepte van ca. 50 meter beschikt u over mooie proporties voor een ruime gezinswoning. U mag bouwen tot 15 meter diepte op het gelijkvloers en 12 meter op de verdieping. Het hoofdgebouw dient 3 meter van beide perceelsgrenzen af te blijven, waardoor er voldoende open ruimte rondom de woning behouden blijft. De maximale kroonlijsthoogte bedraagt 6,2 meter, wat ruimte laat voor een hedendaagse, stijlvolle architectuur.

Ook bijgebouwen zijn toegestaan, mits inachtneming van de verkavelingsvoorschriften. Zo kan u extra ruimte voorzien voor een garage, berging of hobbyruimte, volledig afgestemd op uw eigen woonwensen.

De volledige verkavelingsvoorschriften en het verkavelingsplan kan u eenvoudig downloaden via onze website.

Meer info of interesse? Bel ons op 011 96 51 76 of mail ons op info@momentumvastgoed.be

Uw expert

Vincent Van Assche

Vincent Van Assche

011 96 51 76

Details van het pand

Financieel

Prijs
€ 119.500
Kadastraal inkomen
€ 7
Opbrengsteigendom
nee

Terrein

Perceel opp.
901,00 m²
Terreindiepte
50,00 m
Tuin
nee

Energie

Indeling

Terras
nee

Stedenbouwkundige informatie

P-score
A

Ruimtelijke ordening

Kadaster sectie
A
Kadaster nummer
24017W
Kadaster afdeling
5
Bodemattest
ja
Datum bodemattest
26 september 2025

Downloads

Schatting Hou me op de hoogte